Заключение о результатах публичных слушаний
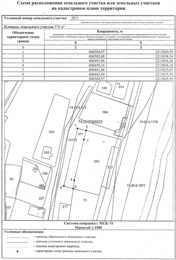
По проекту о предоставлении разрешения на условно разрешенный вид использования земельного участка площадью 579 кв. метров, расположенного по адресному ориентиру: Челябинская область, г. Златоуст, ул. Новобереговая, западнее земельного участка с кадастровым номером 74:25:0304622:585, для ведения личного подсобного хозяйства (приусадебный земельный участок) (территориальная зона Ж3 – зона застройки среднеэтажными жилыми домами) по заявлению Ажоркина И.Е. были проведены публичные слушания, в которых приняли участие 2 участника публичных слушаний.
Настоящее заключение о результатах публичных слушаний подготовлено на основании протокола публичных слушаний от 23.03.2026 года.
Поступили предложения и замечания участников публичных слушаний, в том числе:
1) __0___ предложений и замечаний граждан, являющихся участниками публичных слушаний и постоянно проживающих на территории, в пределах которой проводятся публичные слушания;
2)___0____ предложений и замечаний иных участников публичных слушаний.
В собрании участников публичных слушаний всего приняло участие _2_ участника публичных слушаний.
Рассмотрев поступившие в ходе проведения публичных слушаний предложения и замечания, принимаются следующие рекомендации: «Публичные слушания считать состоявшимися».
Выводы по результатам публичных слушаний: «Рекомендовать Главе Златоустовского городского округа принять решение о предоставлении разрешения на условно разрешенный вид использования земельного участка площадью 579 кв. метров, расположенного по адресному ориентиру: Челябинская область, г. Златоуст, ул. Новобереговая, западнее земельного участка с кадастровым номером 74:25:0304622:585, для ведения личного подсобного хозяйства (приусадебный земельный участок) (территориальная зона Ж3 – зона застройки среднеэтажными жилыми домами) в соответствии с приложенной схемой земельного участка (приложение) по заявлению Ажоркина И.Е.».
Заместитель председателя комиссии
по отдельным вопросам землепользования
на территории ЗГО Курчатова Т.О
Приложение

Информация об изменении страницы: 23.03.2026 15:45:00, Алёна Хатыленко