Заключение о результатах публичных слушаний
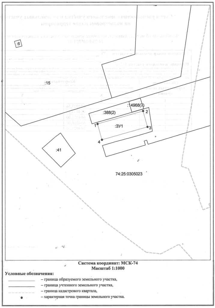
По проекту о предоставлении разрешения на условно разрешенный вид использования земельного площадью 572 кв. метра, расположенного по адресному ориентиру: Челябинская область, г. Златоуст, восточнее земельного участка с кадастровым номером 74:25:0305023:41, служебные гаражи (территориальная зона И – Зона инженерной инфраструктуры) были проведены публичные слушания, в которых приняли участие 1 участник публичных слушаний.
Настоящее заключение о результатах публичных слушаний подготовлено на основании протокола публичных слушаний от 07.10.2025 года.
Всего поступило 1 замечание участников общественных обсуждений (публичных слушаний), в том числе:
1) 0 предложений и замечаний граждан, являющихся участниками публичных слушаний и постоянно проживающих на территории, в пределах которой проводятся общественные обсуждения;
2) 1 замечание иных участников публичных слушаний, а именно: от Комитета по управлению имуществом Златоустовского городского округа:
«В соответствии с письмом №ЧЭ/ЗЭС/38/287 от 20.08.2025 г., филиала ПАО «Россети Урал» - «Челябэнерго» следует, что согласно п. 8 Правил в охранных зонах запрещается осуществлять любые действия, которые могут нарушить безопасную работу объектов электросетевого хозяйства, в том числе привести к их повреждению или уничтожению, и (или) повлечь причинение вреда жизни, здоровью граждан и имуществу физических или юридических лиц, а также повлечь нанесение экологического ущерба и возникновение пожаров, в том числе:
б) размещать любые объекты и предметы (материалы) в пределах созданных в соответствии с требованиями нормативно-технических документов проходов и подъездов для доступа к объектам электросетевого хозяйства, а также проводить любые работы и возводить сооружения, которые могут препятствовать доступу к объектам электросетевого хозяйства, без создания необходимых для такого доступа проходов и подъездов.
В соответствии с ПУЭ раздел III, п.9 в охранных зонах, установленных для объектов электросетевого хозяйства напряжением свыше 1000 вольт, помимо действий, предусмотренных пунктом 8 настоящих Правил, запрещается: … п.п. б) размещать детские и спортивные площадки, стадионы, рынки, торговые точки, полевые станы, загоны для скота, гаражи и стоянки всех видов машин и механизмов, проводить любые мероприятия, связанные с большим скоплением людей, не занятых выполнением разрешенных в установленном порядке работ (в охранных зонах воздушных линий электропередачи)».
В собрании участников публичных слушаний приняло участие 1 (один) –участник публичных слушаний.
«За» принятие проекта «О предоставлении разрешения на условно разрешенный вид использования земельного участка» проголосовало 0 (ноль) –участников публичных слушаний.
«Против» принятия проекта «О предоставлении разрешения на условно разрешенный вид использования земельного участка» проголосовал 1 (один) –участник публичных слушаний.
«Воздержался» в принятии проекта «О предоставлении разрешения на условно разрешенный вид использования земельного участка» проголосовало _0 (ноль) участников публичных слушаний.
Рассмотрев поступившие в ходе проведения публичных слушаний предложения и замечания, принимаются следующие выводы и рекомендации: «Публичные слушания считать состоявшимися.
Рекомендовать Главе Златоустовского городского округа отказать в предоставлении разрешения на условно разрешенный вид использования земельного участка площадью 572 кв. метра, расположенного по адресному ориентиру: Челябинская область, г. Златоуст, восточнее земельного участка с кадастровым номером 74:25:0305023:41, служебные гаражи (территориальная зона И – Зона инженерной инфраструктуры) в соответствии с приложенной схемой земельного участка (приложение) по заявлению Пригородова В.А.
Заместитель председателя комиссии
по отдельным вопросам землепользования
на территории ЗГО Курчатова
Приложение


Информация об изменении страницы: 10.10.2025 11:00:01, Алёна Хатыленко