Проект о предоставлении разрешения на условно разрешенный вид использования земельного участка
проект
АДМИНИСТРАЦИЯ ЗЛАТОУСТОВСКОГО ГОРОДСКОГО ОКРУГА
РАСПОРЯЖЕНИЕ
______________№_______
О предоставлении разрешения
на условно разрешенный вид
использования земельного участка
С учетом результатов проведения публичных слушаний от _______ г., рекомендаций комиссии по отдельным вопросам землепользования на территории Златоустовского городского округа от ______ г. (протокол № __), руководствуясь статьей 39 Градостроительного кодекса Российской Федерации:
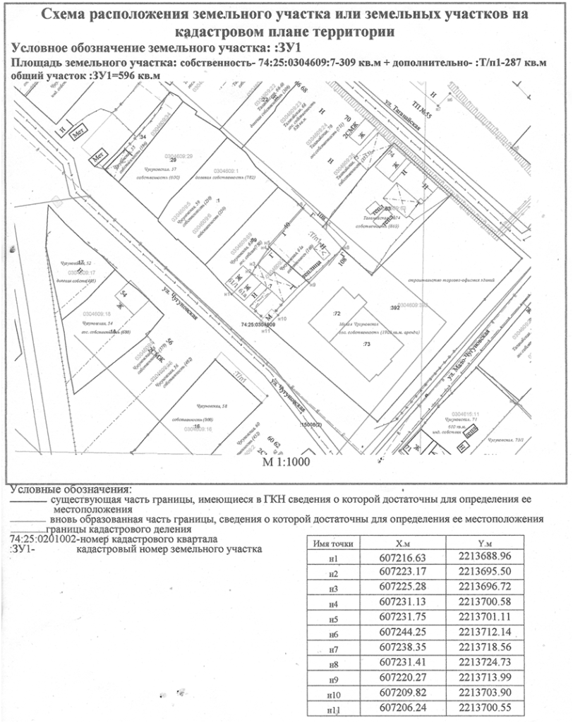
1. Предоставить разрешение на условно разрешенный вид использования земельного участка «ведение личного подсобного хозяйства (приусадебный земельный участок)», общей площадью 596 кв. метров (в том числе земельный участок с кадастровым номером 74:25:0304609:7), расположенного по адресному ориентиру: Челябинская область, г. Златоуст, ул. Чугуновская, д. 61а., (территориальная зона Ж3 – зона застройки среднеэтажными жилыми домами) по заявлению Сайфуллиной А.Х., в соответствии с прилагаемой схемой (приложение).
2. Пресс-службе Администрации Златоустовского городского округа (Семёновой А.Г.) опубликовать настоящее распоряжение в газете «Златоустовский рабочий» и разместить на официальном сайте Златоустовского городского округа в сети «Интернет».
3. Организацию выполнения настоящего распоряжения возложить на председателя Комитета по управлению имуществом Златоустовского городского округа Турову Е.В.
4. Контроль выполнения настоящего распоряжения возложить на первого заместителя Главы Златоустовского городского округа Мусабаева О.Р.
Глава Златоустовского городского округа О.Ю. Решетников
Приложение

Информация об изменении страницы: 12.12.2025 10:17:36, Алёна Хатыленко